FEEDBACK
announcement We've evolved. Twin Cities Auctions is now Remarket Space!

Premier Direct Vehicle — Delivered to your door with no extra steps.
Delivery is required and is FREE within 50 miles of Burnsville, MN (this will be updated after the sale).

2014 Volkswagen Touareg VR6 Lux
Verified by Remarket Space
Stock 104063
VIN WVGEF9BP2ED003688
Year 2014
Make Volkswagen
Model Touareg
Trim VR6 Lux
Engine 3.6L V6 DOHC 24V
Transmission Automatic
Fuel Type Gasoline
Drive Train AWD/All-Wheel Drive
Drive Status Does Not Start
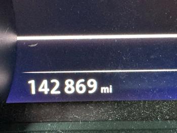
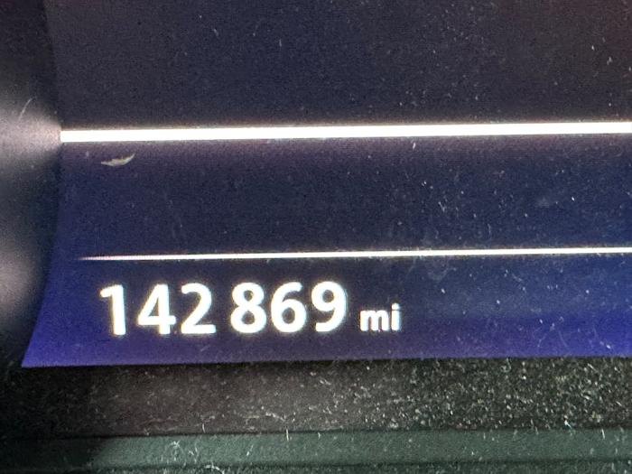
Mileage
Title Brand Clean
Parking Spot Number Premier direct
Hassle Free Delivery Quote

Premier Direct Vehicle — Delivered to your door with no extra steps.
Delivery is required and is FREE within 50 miles of Burnsville, MN (this will be updated after the sale).

Condition Report Vehicle Sold AS-IS

Drivability
Inoperable (Does Not Move) No programmed key, unable to test vehicle operations
Other
Other Issues No programmed key, unable to test vehicle operations
Tire Tread Depth
Driver Side Front 6/32”
Driver Side Rear 4/32”
Passenger Side Rear 2/32”
Passenger Side Front 2/32”
Drive Status
Not Tested by TCA. Driving status is unknown No programmed key, unable to test vehicle operations